Save
Ask
Tour
Hide
$799,900
201 Days On Site
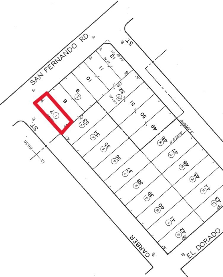
10397 San FernandoPacoima, CA 91331
For Sale|Land|Active
County:
Los Angeles
Listed by Gustavo Ohannessian of Guillermo Brunstein [email protected]
Call Now: +1 (562) 337-3915
Is this the listing for you? We can help make it yours.
+1 (562) 337-3915


Save
Ask
Tour
Hide
Mortgage Calculator
Monthly Payment (Est.)
$3,649Calculator powered by Showcase IDX, a Constellation1 Company. Copyright ©2026 Information is deemed reliable but not guaranteed.
Calling all investors, builders or developers. Here is your opportunity to buy a very desirable flat rectangular corner lot located directly on San Fernando Road in Pacoima. This lot is ready for development or keep it the way is right now and generate immediate income. Don’t miss this opportunity in a prime location of Pacoima. Buyer to verify all zoning information.
Save
Ask
Tour
Hide
Listing Snapshot
Price
$799,900
Days On Site
201 Days
Bedrooms
N/A
Inside Area (SqFt)
N/A
Total Baths
N/A
Full Baths
N/A
Partial Baths
N/A
Lot Size
0.1372 Acres
Year Built
N/A
MLS® Number
SR25238806
Status
Active
Property Tax
N/A
HOA/Condo/Coop Fees
N/A
Sq Ft Source
N/A
Friends & Family
Recent Activity
| 7 months ago | Listing first seen on site | |
| 7 months ago | Listing updated with changes from the MLS® |
General Features
Acres
0.1372
Disclosures
CautionsCallAgent
Land Lease
No
Sewer
None
Special Circumstances
Standard
Utilities
Electricity AvailableSewer AvailableWater AvailableSewer Not Available
Water Source
Public
Zoning
LAC2
Save
Ask
Tour
Hide
Exterior Features
Fencing
Barbed WireChain Link
Lot Features
Corner LotNear Public TransitRectangular Lot
Road Frontage
City Street
View
None
Waterview
None
Community Features
Community Features
Street Lights
MLS Area
PAC - Pacoima
Roads
Paved
This information is for your personal, non-commercial use and may not be used for any purpose other than to identify prospective properties you may be interested in purchasing. The display of MLS data is usually deemed reliable but is NOT guaranteed accurate by the MLS. Buyers are responsible for verifying the accuracy of all information and should investigate the data themselves or retain appropriate professionals. Information from sources other than the Listing Agent may have been included in the MLS data. Unless otherwise specified in writing, the Broker/Agent has not and will not verify any information obtained from other sources. The Broker/Agent providing the information contained herein may or may not have been the Listing and/or Selling Agent.
Neighborhood & Commute
Source: Walkscore
Disclosure: Community information and market data powered by Constellation Data Labs. Information is deemed reliable but not guaranteed.
Save
Ask
Tour
Hide


Did you know? You can invite friends and family to your search. They can join your search, rate and discuss listings with you.